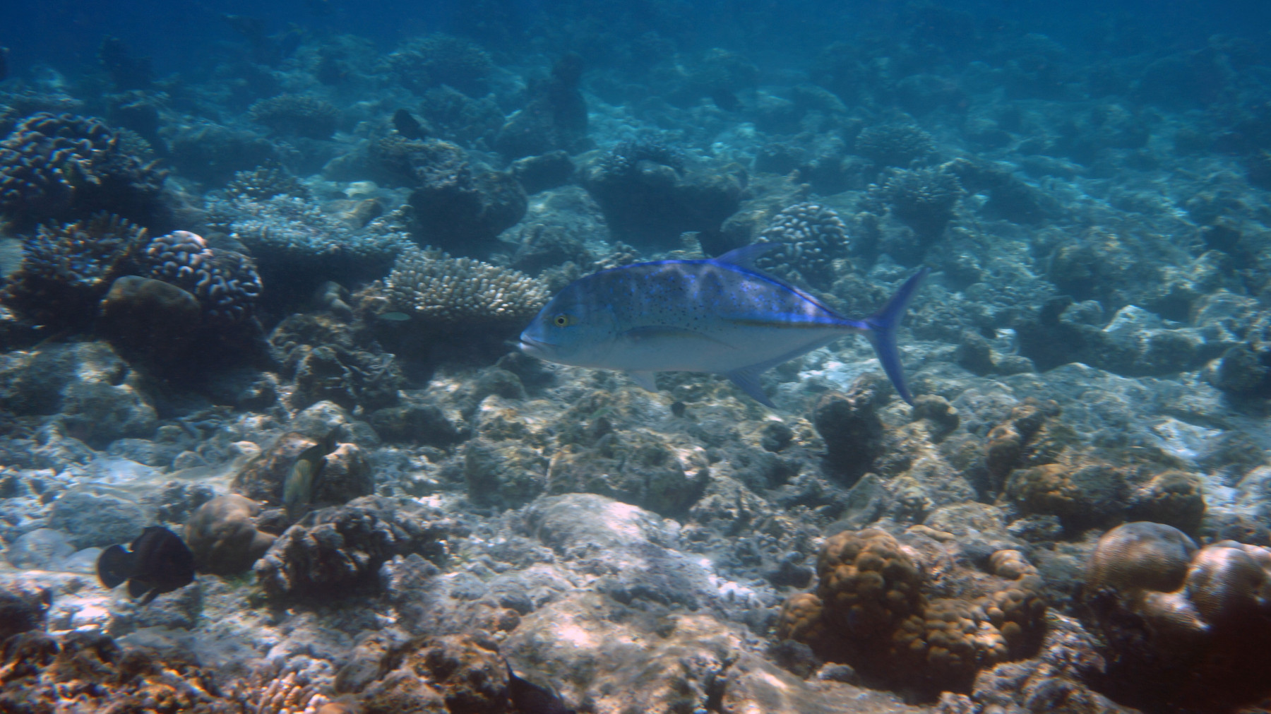
This species is known as the blue-finned jack (Caranx melampygus), because of its characteristic and striking body tone. It is a species of considerable dimensions (maximum length described 117 cm and 43.5 kg in weight) and wide geographical distribution (tropical waters of the Pacific and Indian Oceans). It is a species of predatory habits with a diet consisting predominantly of other smaller fish, although occasionally also feeds on crustaceans and molluscs.

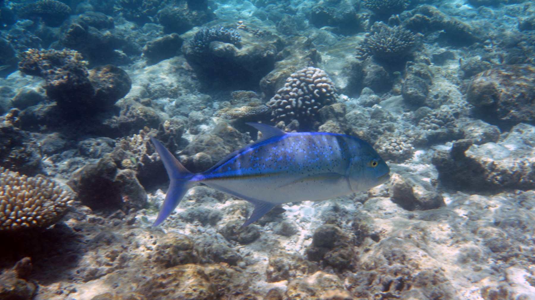
The body of Caranx melampygus is strongly compressed laterally. The profile of its head is quite pronounced, very curved in the area above the eye in adult individuals. The ventral profile, however, is completely straight. The upper jaw reaches the vertical of the eyes, and is provided with large conical teeth that border an internal line of fine teeth. The lower jaw has only a single row of conical teeth.
The first dorsal fin of Caranx melampygus has a spine that is oriented slightly forward and partially embedded in the skin. It is followed by 9 spines. The second dorsal fin has 1 spine and between 20 and 24 soft rays. The anal fin has 2 isolated spines and later has 1 spine followed by 19 or 20 rays. The lateral line of its flanks is moderately arched at the beginning, and as it goes along the body it straightens.
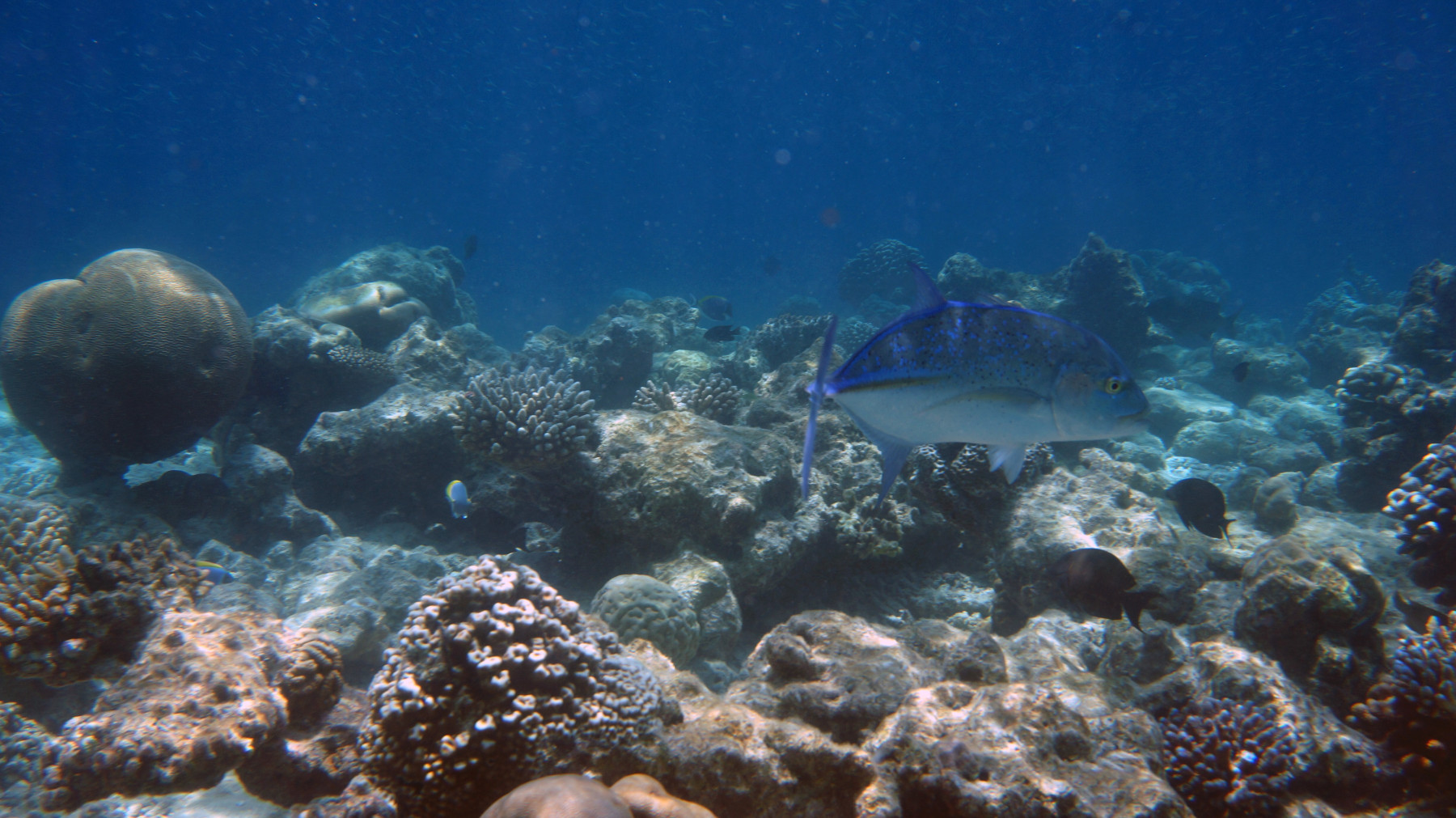
First described in 1833 by Georges Cuvier, the name of Caranx melampygus makes mention in Latin of the multiple spots it has on the body. The upper half of the body is silvery-copper coloured which turns into a silvery white as it enters the lower part of the body. A multitude of black and blue spots run along both sides of the body. The dorsal, anal and caudal fins are electrically blue, while the pelvic fins are white and the pectoral fins are white with a slight yellowish hue.
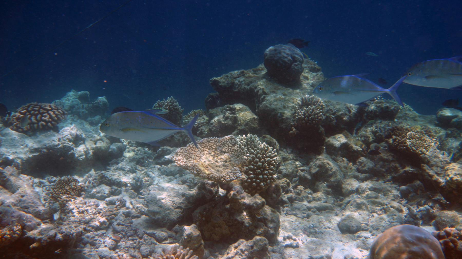
Caranx melampygus inhabits both coastal and open ocean waters in a multitude of ecosystems, such as bays, coral reefs, lagoons, seagrass beds or sandbanks. Juvenile individuals tend to form schools, with a transition to solitary behavior occurring as individuals mature. As a curious fact of their behavior, adult individuals of the same reef tend to congregate in the same place during the night hours, and later during the day return to their solitary behavior.
Photos:

from